وطن- عثر باحثون بحريون خلال رحلة استكشافية حديثة إلى الأعماق غير المستكشفة في شمال وسط المحيط الأطلسي على ظاهرة غريبة من نوعها أثارت حيرة العلماء.
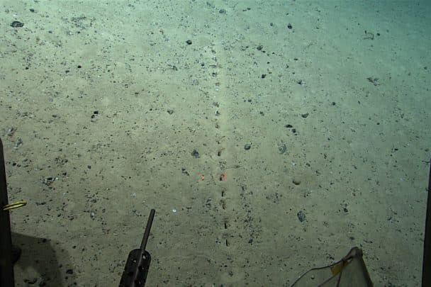
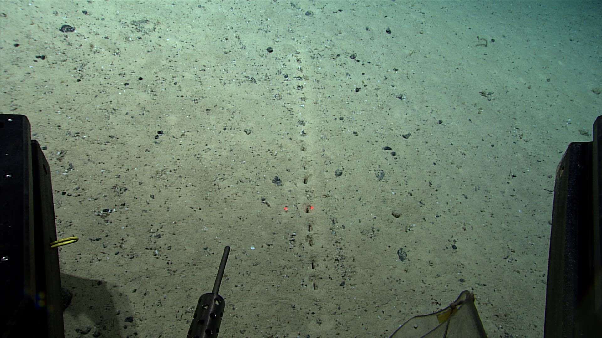
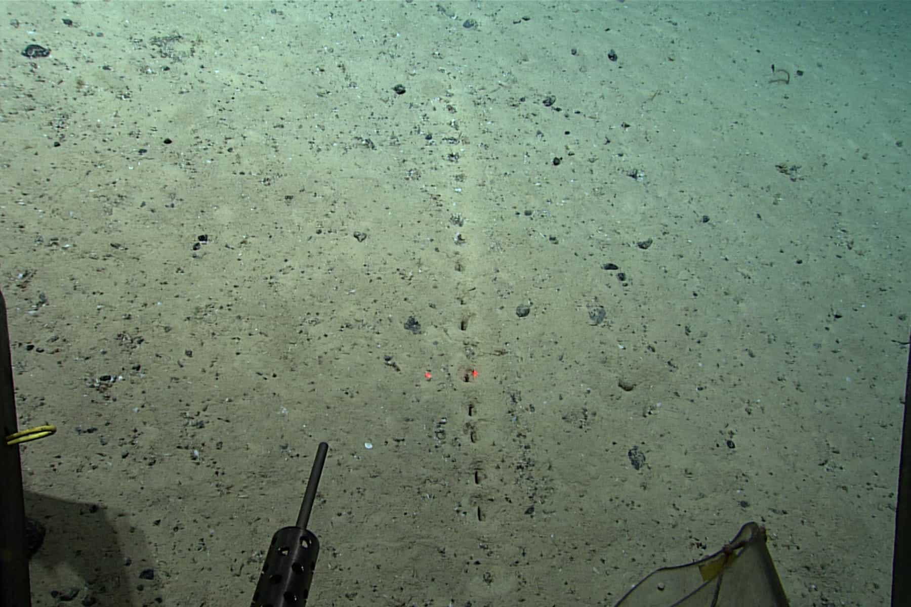
وتمثلت هذه الظاهرة في ظهور ثقوب صغيرة محفورة في الرواسب، وبدت هذه الثقوب مرتبة بشكل أنيق متباعدة عن بعض بشكل متساو ومنسقة في عشرات الخطوط المستقيمة نسبيًا.
هل هذه الثقوب من صنع بشر؟
وأشار تقرير لموقع sciencealert ترجمت “وطن” مقتطفات منه إلى أن هذه الثقوب لو لم تكن موجودة على بعد 2.5 كيلومتر (1.6 ميل) تقريبًا تحت سطح المحيط الأطلسي ، في منتصف مكان مجهول لاعتقد أنها من صنع بشري.
واستخدم الباحثون على متن سفينة الإدارة الوطنية الأمريكية للمحيطات والغلاف الجوي “NOAA Okeanos Explorer”، غواصة آلية لاستكشاف سلسلة من التلال البركانية تحت الماء شمال أرخبيل جزر الأزور ، بالقرب من البر الرئيسي للبرتغال في 23 يوليو الماضي.
وأضاف التقرير الذي كتبه “FIONA MACDONALD”، أن هذه النقاط حيرت العلماء ممن رأوها. فهي تبدو من صنع الإنسان لكن أكوام الرواسب الصغيرة حولها تشير إلى أنه تم حفرها بواسطة شيء ما.
وبعد أسبوع تقريبا، حدد الباحثون أربع مجموعات أخرى من الثقوب على بعد حوالي 483 كيلومترًا (300 ميل)، على عمق 1.6 كيلومتر (1 ميل).
بقعة شمسية بحجم ثلاثة كواكب أمام كوكبنا تثير مخاوف العالم
رواسب صغيرة
وأوضح بيان صادر عن الإدارة الأميركية للمحيطات والغلاف الجوي، أنه و”بينما تبدو وكأنها من صنع الإنسان، فإن أكوام الرواسب الصغيرة حول الثقوب تجعلها تبدو وكأنها حُفرت بواسطة شيء ما”.
On Saturday's #Okeanos dive, we saw several sublinear sets of holes in the seafloor. The origin of the holes has scientists stumped. The holes look human made, but the little piles of sediment around them suggest they were excavated by…something.
What's YOUR hypothesis? pic.twitter.com/iGezxV9TK8
— NOAA Ocean Exploration (@oceanexplorer) July 25, 2022
ولإضافة المزيد من الغموض، فقد ذكر باحثون أنا ليست المرة الأولى التي يرى فيها العلماء ثقوبًا مثل تلك. ففي بحث نشر في العام 2004 جرى الحديث عن رؤية ثقوب في نفس المنطقة في ذلك العام، أطلق عليها الباحثون اسم “lebensspuren” لوصف الثقوب، وهو ما يُترجم إلى “آثار الحياة” باللغة الألمانية.
لا وجود لكائنات حية تعيش في الثقوب
وكتب المؤلفون آنذاك أن “مصدر الثقوب أو كيفية بنائها غير معروف، لكن الرواسب المرتفعة قد تشير إلى حفر بواسطة كائن حي أو حفر وإزالة”.
ومضى التقرير إلى أن أياً من اللقطات المقربة لم تظهر أي علامة على وجود كائنات حية تعيش في الثقوب. ولم يكن واضحًا ما إذا كانت الثقوب متصلة تحت سطح الرواسب.”
وتمكن الباحثون من أخذ عينات من الرواسب من حول الثقوب باستخدام جهاز الشفط الخاص بالغواصة، على أمل أن يلقي الضوء على ما إذا كان هناك شيء ما يعيش هناك أم لا.
شيء مهم يحدث هناك ولا نعرف ما هو
وقال عالم الأحياء في أعماق البحار التابع للإدارة الوطنية للمحيطات والغلاف الجوي (NOAA) مايكل فيكيوني إن لديه اهتماماً خاصاً بمعرفة ما يكمن تحت رمال وسط المحيط الأطلسي.
وأضاف في لقاء مع صحيفة “نيويورك تايمز” أن “هناك شيء مهم يحدث هناك ولا نعرف ما هو”.
وكان المستكشفون الذي عثروا على هذه الثقوب قد عرضوها على المتابعين على منصات التواصل الاجتماعي مثل Twitter و Facebook ، لمعرفة ما قد يكون لدى أفراد الجمهور من فرضيات حول كيفية تشكل هذه الثقوب.
وحصلوا على مجموعة متنوعة من الإجابات فمنهم من رجح أن تكون كائنات فضائية وآخرون رأوا أنها عبارة عن سرطان البحر غير المعروف.
ومنهم من قال ان هذه الثقوب ناتجة عن غاز متصاعد من أسفل البحر وغير ذلك .
فيما رأى Richard Cheese أن الثقوب ناتجة عن سمكة “تمشي” في قاع البحر ، وربما أثناء المشي تستخدم زعنفة أو قرن أنف لاستكشاف الرمال بحثًا عن الطعام.



تعليق واحد
علماء بو دورو